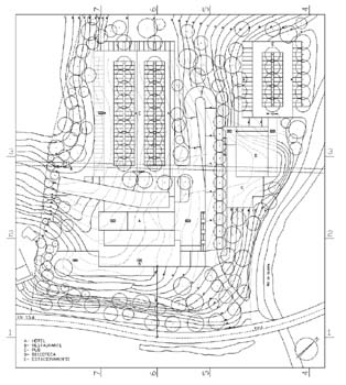
HOTEL BELA VISTA

ESCRITÓRIO

OBRAS E PROJECTOS

1993   (co-autoria com o Arqº Manuel Araújo da Silva)
Quinta da Bela Vista, Alverca
Estudo Prévio
José Oliveira

 PLANTA/ CORTES/ ALÇADOS

ESQUISSOS

MODELO 3D

FOTOGRAFIAS

MEMÓRIA DESCRITIVA

Implantação                                                                

JOÃO PEDRO XAVIER - ARQUITECTO, LDA